TOP » ダイビングログ » 2026年初の万座ダイビング。

ダイビングログ

2026年初の万座ダイビング。

今年に入りようやく万座のダイビングのタイミングで穏やかになり

今日は晴れた海を朝から潜ってきました。

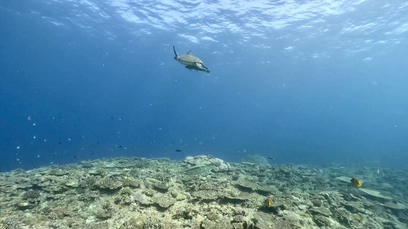
透明度はとってもきれい!

恩納村の海よ、おかえりなさい。

GPcxTempDownload 7.JPG

GPTempoikachuDownload.jpg

/

冬の季節ですが、夏と変わらない生物もこの時期に楽しめてます。

光があれば尚よし!

そして新しいウミガメの根を発見、今日は全部で大きいのから小さい個体まで7匹以上。

良い動画が撮れちゃいますね。

明日も引き続き万座の海へ行ってきます。

沖縄 天気:晴れ 気温:20℃  水温:21℃


更新日時: 2026年1月24日 19:32

最近の投稿

カテゴリー

月別記事